Sewer Assessment Program

 

 

In some parts of Hamilton County, Ohio, public sewers are not available nearby or homes were built before sewers were available. In these areas, the wastewater generated from homes is managed by on-site household sewage treatment systems (HSTSs), which include both septic tanks with leach fields and home aeration systems. These areas are considered unsewered.

 

MSD's Sewer Assessment Program is one means of providing sewers to unsewered properties. Property owners may petition the Board of County Commissioners of Hamilton County, Ohio, to extend public sewer service to their properties. Property owners will pay up to $12,000 to bring public sewer service to their area, as well as private-side costs.

 

 

TWO TYPES OF SEWER ASSESSMENTS

There are two types of assessment sewer projects: Lateral Sewer Assessments and Local Sewer Assessments:

 

 

  • Lateral Sewer Assessment: A Lateral Sewer Assessment is when MSD constructs a lateral sewer stub from an existing public sewer main to a property line/public right-of-way line or easement. It may be requested by a single-family property where a public sewer exists and is accessible to the single-family property. A single property is benefited by the construction of the lateral sewer stub.

  • Local Sewer Assessment: A Local Sewer Assessment is when MSD constructs a new public sewer main to extend sewer service to a neighborhood or area, as well as a lateral sewer stub from the new public sewer main to the property line/public right-of-way line or easement. It may be requested by a property where no public sewer exists that is accessible by the property. Multiple properties can benefit from construction of a local sewer.

 

 

HOW MUCH DOES IT COST?

Here is a breakdown of costs, per benefited parcel:

 

  • Property owners will pay up to $12,000, plus any applicable interest and fees, for MSD to design and construct a new public sewer main and/or lateral sewer stub. MSD will fund all costs in excess of $12,000. This amount can be paid upon invoice, placed on property taxes (payable over 20 years) as an assessment, or a combination of the two.

  • In addition to the cost above, property owners are responsible for the following costs related to work on their private property: Note: these costs are not eligible to be placed on property taxes as an assessment.
    • Hiring an MSD-certified sewer tapper to install a private building sewer from their home to the lateral sewer stub.
    • Paying an MSD Sewer Tap Permitt Fee (currently $480).
    • Purchasing and installing a residential sewage pump and tank with an electric power connection, if a gravity connection to the public sewer is not reasonably possible.
    • Decommissioning your existing on-site sewage treatment system, per Hamilton County Public Health requirements, if applicable.

 

 

 

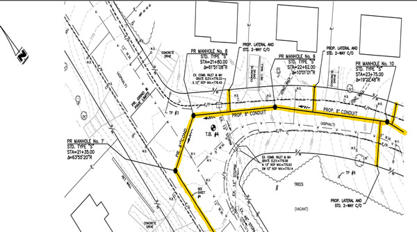
Engineering drawings of a Local Sewer Assessment
Example of local sewer assessment that serves multiple households
Engineering drawings of a Lateral Sewer Assessment
Example of lateral sewer assessment that serves one household

Need Assistance?

Office

David Siegert
(513) 244-1300 (Option 5)

Email

MSD.Communications@cincinnati-oh.gov

Email us